3037 Finley Road Selwyn, Ontario K0L 2H0
Contact Us
Contact us for more information
Waterfront On Lake
Acreage
$399,900
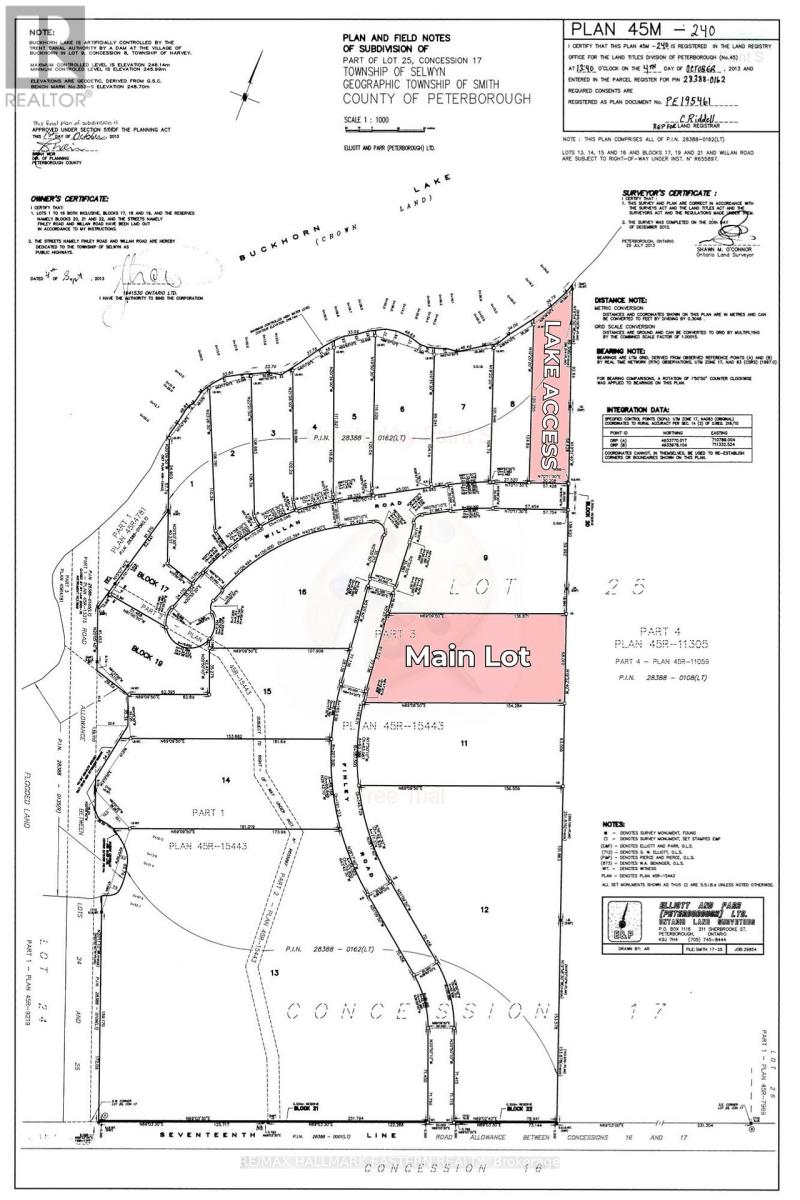
Welcome to the sophisticated Buckhorn Lake Waterfront development known as Kawartha Estates. Build your dream home on this 2.45 acre building lot in the peaceful waterfront community with deeded access to Buckhorn Lake. This property is in an elegant newer development surrounded with stunning tall trees. Situated on a municipal paved road with services available at the lot line and underground hydro installed. Near the town of Buckhorn and within 15 minutes of Bridgenorth and Lakefield. (HST is included in price). (id:28302)
Property Details
| MLS® Number | X12972392 |
| Property Type | Vacant Land |
| Community Name | Selwyn |
| Community Features | Fishing, School Bus |
| Easement | Easement, Sub Division Covenants |
| Features | Cul-de-sac, Wooded Area, Flat Site, Dry, Level |
| View Type | View, Lake View, View Of Water |
| Water Front Type | Waterfront On Lake |
Building
Land
| Access Type | Public Road, Private Docking, Year-round Access |
| Acreage | Yes |
| Size Depth | 505 Ft |
| Size Frontage | 202 Ft |
| Size Irregular | 202 X 505 Ft |
| Size Total Text | 202 X 505 Ft|2 - 4.99 Acres |
| Zoning Description | Res |
Utilities
| Cable | Available |
| Electricity | Installed |
| Electricity Available | At Lot Line |
| Telephone | Nearby |
https://www.realtor.ca/real-estate/29574586/3037-finley-road-selwyn-selwyn







